Skip to main content
ΚΡΗΤΗ
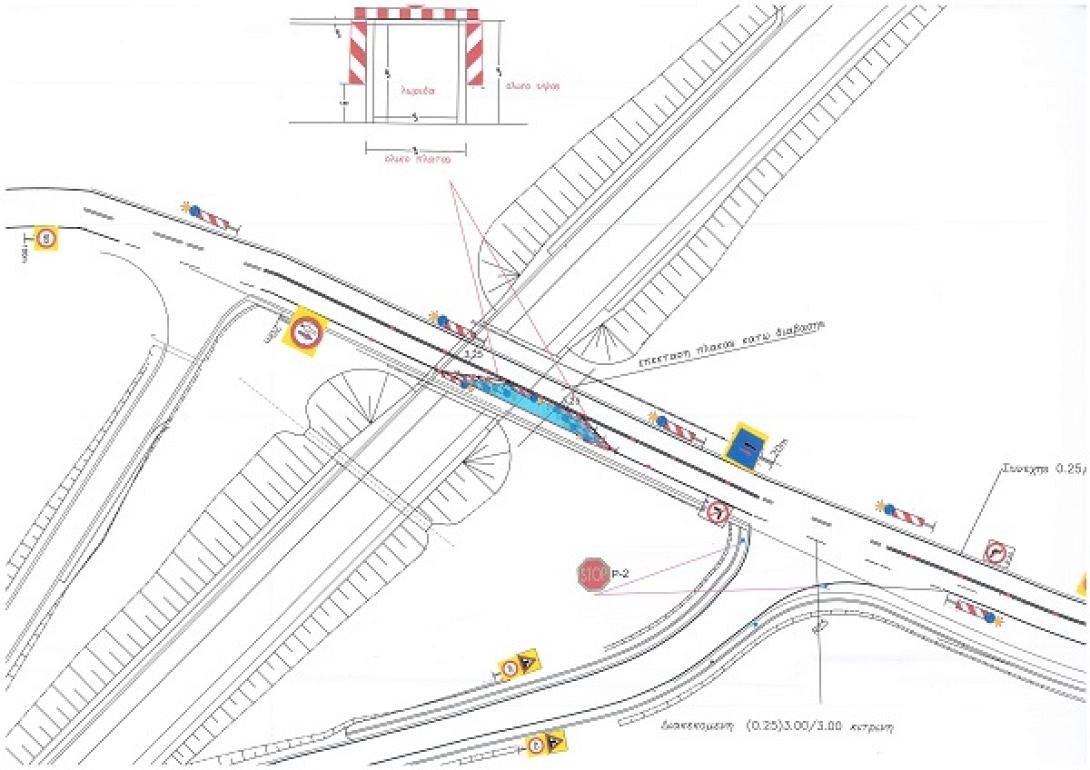
Κυκλοφοριακές ρυθμίσεις στον ανισόπεδο κόμβο Κουνάβων
untitled_13052019_083603.jpg
 clock 12:48 | 13/05/2019
writer icon newsroom ekriti.gr

Η Δ/νση Τεχνικών Έργων της Περιφέρειας Κρήτης ενημερώνει ότι, στα πλαίσια της εκτέλεσης του έργου «Κατασκευή Ανισόπεδου Κόμβου Κουνάβων», και για τις ανάγκες επέκτασης της πλάκας της γέφυρας του κόμβου , θα πραγματοποιείται επί της οδού που συνδέει το Καταλαγάρι με τους Κουνάβους, στην περιοχή του Ανισόπεδου Κόμβου,  εναλλάξ κυκλοφορία των δύο κατευθύνσεων  με προτεραιότητα στο ρεύμα προς Καταλαγάρι - Κουνάβους – Πεζά. Στο σημείο της γέφυρας, όπου θα τοποθετηθούν ικριώματα, προβλέπεται ελάχιστο  ύψος της περιοχής κυκλοφορίας 3,80 μ και ελάχιστο ελεύθερο πλάτος 3,00μ. 

Οι κυκλοφοριακές ρυθμίσεις έχουν εγκριθεί με την 139/2018 Απόφαση του Περιφερειακού Συμβουλίου Κρήτης , θα ισχύσουν από την Τρίτη 14 Μαΐου 2019 και θα διαρκέσουν περίπου 2 μήνες.

Το έργο «Κατασκευή Ανισόπεδου Κόμβου Κουνάβων» εκτελείται από την Περιφέρεια Κρήτης, έχει προϋπολογισμό μελέτης € 6.400.000 και συγχρηματοδοτείται από το ΕΠΙΧΕΙΡΙΣΙΑΚΟ ΠΡΟΓΡΑΜΜΑ 
«ΚΡΗΤΗ 2014-2020»

google news icon

Ακολουθήστε το ekriti.gr στο Google News και μάθετε πρώτοι όλες τις ειδήσεις για την Κρήτη και όχι μόνο.

ΡΟΗ ΕΙΔΗΣΕΩΝ
Ράδιο Κρήτη © | 2013 -2026 ekriti.gr Όροι Χρήσης | Ταυτότητα Designed by Cloudevo, developed by Pixelthis